占地约598亩,成交价20.5亿元!济宁城区14宗土地成功出让
扫描到手机,新闻随时看
扫一扫,用手机看文章
更加方便分享给朋友
搜狐网济宁小编相关渠道获悉:12月13日上午,济宁城区区14宗国有建设用地使用权集中开拍。根据济宁市公共资源交易中心公布的出让结果,14宗地块底价成交,总成交价为204995万元。
从该宗地块的具体分布上看,济宁高新区2宗、任城区11宗、济宁太白湖新区1宗。从土地用途来看,10宗商住用地、3宗商业用地、1宗住宅用地。土地总面积为398853㎡,约598亩;总起始价为204995万元。
最终,济宁和达投资有限公司成功摘得1宗地块、济宁高新欣达投资有限公司成功摘得1宗地块、济宁太白湖泓亿资产运营有限公司成功摘得1宗地块、济宁运河城市更新有限公司成功摘得4宗地块、济宁市任辰房地产开发有限公司成功摘得2宗地块、济宁任合天启置业有限公司成功摘得1宗地块、济宁任合天实置业有限公司成功摘得1宗地块、济宁任合天翼置业有限公司成功摘得1宗地块、济宁运河汇恒城市建设发展有限公司成功摘得1宗地块、济宁运河新恒城市建设发展有限公司成功摘得1宗地块。
接下来,我们详细了解一下挂牌出让地块的基本情况和规划指标等要求:
任城区政府在任城区JRC2024-042号金宇片区(岱庄南路东枫杨路北)地块中回购商业用房用于安置黎寨村,以3100元/平方米价格回购安置商业用房约3600平方米。受让人签订出让合同时一并与任城区政府签订回购协议。
任城区政府在任城区JRC2024-043号金宇片区(岱庄南路东枫杨路南)地块中回购商业用房用于安置黎寨村,以3100元/平方米价格回购安置商业用房约1900平方米。受让人签订出让合同时一并与任城区政府签订回购协议。
地块一:济宁高新区JGX2024-020号科技新城片区(鸿广路北康泰路西)地块【济宁和达投资有限公司竞得】
土地位于:济宁高新区鸿广路以北、康泰路以西;土地面积:73119㎡(约110亩);土地用途:城镇住宅用地兼容商业用地;出让年限:住宅70年、商业40年;容积率不大于1.6;起始价:47148万元,综合楼面价起价:4030元/㎡;最终成交价为:47148万元(约429万元/亩),综合楼面地价成交价:4030元/㎡;溢价率:0.0%;

该地块位于济宁高新区,交通便利,周边有成熟小区,东侧有奥特莱斯枫叶小镇,购物休闲便利,东北侧有济宁市人民医院东院区,东侧有海达行知学校,教育资源丰富,东南侧有鸿雁湖公园。综合来看,无论从交通、商业、配套等方面都是一宗不可多得的成熟住宅地块。

地块二:济宁高新区JGX2024-023号蓼河片区(海川路东开源路北)地块【济宁高新欣达投资有限公司竞得】
土地位于:济宁高新区海川路以东、开源路以北;土地面积:46228㎡(约69.3亩);土地用途:城镇住宅用地兼容商业用地;出让年限:住宅70年、商业40年;容积率不大于1.5;起始价:27737万元,综合楼面价起价:4000元/㎡;最终成交价为:27737万元(约400万元/亩),综合楼面地价成交价:4000元/㎡;溢价率:0.0%;

该地块位于济宁高新区海川路以东、开源路以北,临近城市主干道路,周边交通十分便利,周围有较成熟住宅小区,商业配套较发达,教育资源较丰富,周围有鸿雁湖公园,休闲游憩便利。综合来看,无论从交通、商业、配套等方面都是一宗不可多得的成熟住宅地块。

地块三:太白湖新区JTB2024-008号许庄片区(进士路东、大孟路北)宗地【济宁太白湖泓亿资产运营有限公司竞得】
土地位于:太白湖新区进士路以东、大孟路以北;土地面积:46947㎡(约70.4亩);土地用途:城镇住宅用地;出让年限:住宅70年;容积率不大于1.6;起始价:33802万元,综合楼面价起价:4500元/㎡;最终成交价为:33802万元(约480万元/亩),综合楼面地价成交价:4500元/㎡;溢价率:0.0%;

该地块位于太白湖新区许庄街道辖区内,宗地西侧为“我家就在岸上住”,是新区重点打造的文旅综合体项目。附近有幼儿园、天立学校,距离济宁医学院附属医院北湖院区、贵和购物中心较近,生活配套一应俱全。教育资源丰富,医疗条件齐备,周边有完善的路网,交通出行便利。

地块四:任城区JRC2024-036号济安台片区(尚仁路以南尚德路以西)地块【济宁运河城市更新有限公司竞得】
土地位于:规划尚仁路以南、尚德路以西;土地面积:11211㎡(约16.8亩);土地用途:城镇住宅用地兼容商业用地;出让年限:住宅70年、商业40年;容积率不大于1.5;起始价:5550万元,综合楼面价起价:3300元/㎡;最终成交价为:5550万元(约330万元/亩),综合楼面地价成交价:3300元/㎡;溢价率:0.0%;

该地块位于任城区辖区内,附近有济宁市第十四中学、济宁市运河实验小学,距京杭大运河景观带及老运河较近,生活配套一应俱全。商务办公聚集,教育资源丰富,医疗条件齐备,交通出行便利。

地块五:任城区JRC2024-037号济安台片区(尚仁路以南尚德路以东)地块一【济宁运河城市更新有限公司竞得】
土地位于:规划尚仁路以南、尚德路以东;土地面积:17670㎡(约26.5亩);土地用途:城镇住宅用地兼容商业用地;出让年限:住宅70年、商业40年;容积率不大于1.5;起始价:8217万元,综合楼面价起价:3100元/㎡;最终成交价为:8217万元(约310万元/亩),综合楼面地价成交价:3100元/㎡;溢价率:0.0%;

该地块位于任城区辖区内,附近有济宁市第十四中学、济宁市运河实验小学,距京杭大运河景观带及老运河较近,生活配套一应俱全。商务办公聚集,教育资源丰富,医疗条件齐备,交通出行便利。
地块六:任城区JRC2024-038号济安台片区(尚仁路以北尚德路以西)地块【济宁运河城市更新有限公司竞得】
土地位于:规划尚仁路以北、尚德路以西;土地面积:11479㎡(约17.2亩);土地用途:商业用地;出让年限:商业40年;容积率不大于2.0;起始价:3570万元,综合楼面价起价:1555元/㎡;最终成交价为:3570万元(约208万元/亩),综合楼面地价成交价:1555元/㎡;溢价率:0.0%;

地块七:任城区JRC2024-039号凤凰台片区(洸河路以南济水大道以西)地块【济宁运河城市更新有限公司竞得】
土地位于:洸河路以南、济水大道以西;土地面积:44787㎡(约67亩);土地用途:城镇住宅用地兼容商业用地;出让年限:住宅70年、商业40年;容积率不大于1.8;起始价:22452万元,综合楼面价起价:2785元/㎡;最终成交价为:22452万元(约335万元/亩),综合楼面地价成交价:2785元/㎡;溢价率:0.0%;

该地块位于任城区辖区内,距离融创滨江壹号、泽信云月湾较近。西侧邻近济宁汽车西站,周边有济宁市第一人民医院(西院区)、济宁市第十五中学滨河校区、济宁市霍家街小学滨河校区。生活配套一应俱全,附近还有济宁市最大的豪德商贸城。该地块周边的教育资源丰富,医疗条件便利,商务办公聚集,交通出行便利。
地块八:任城区JRC2024-042号金宇片区(岱庄南路东枫杨路北)地块【济宁市任辰房地产开发有限公司竞得】
土地位于:岱庄南路以东、枫杨路以北;土地面积:3055㎡(约4.6亩);土地用途:商业用地;出让年限:商业40年;容积率不大于1.3;起始价:1192万元,综合楼面价起价:3000元/㎡;最终成交价为:1192万元(约259万元/亩),综合楼面地价成交价:3000元/㎡;溢价率:0.0%;
其他交易条件:任城区政府在该地块中回购商业用房用于安置黎寨村,以3100元/平方米价格回购安置商业用房约3600平方米。受让人签订出让合同时一并与任城区政府签订回购协议。

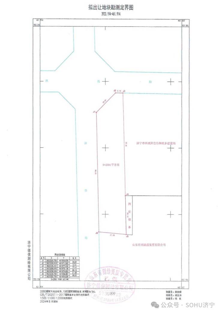
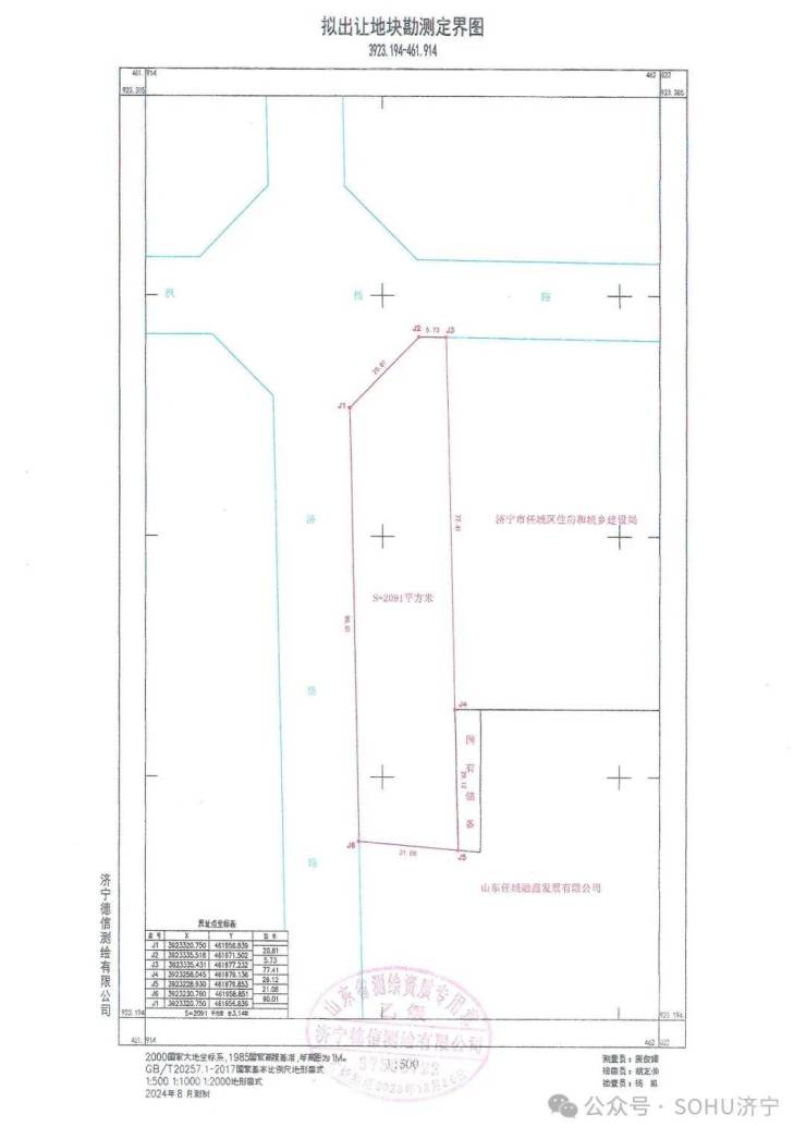
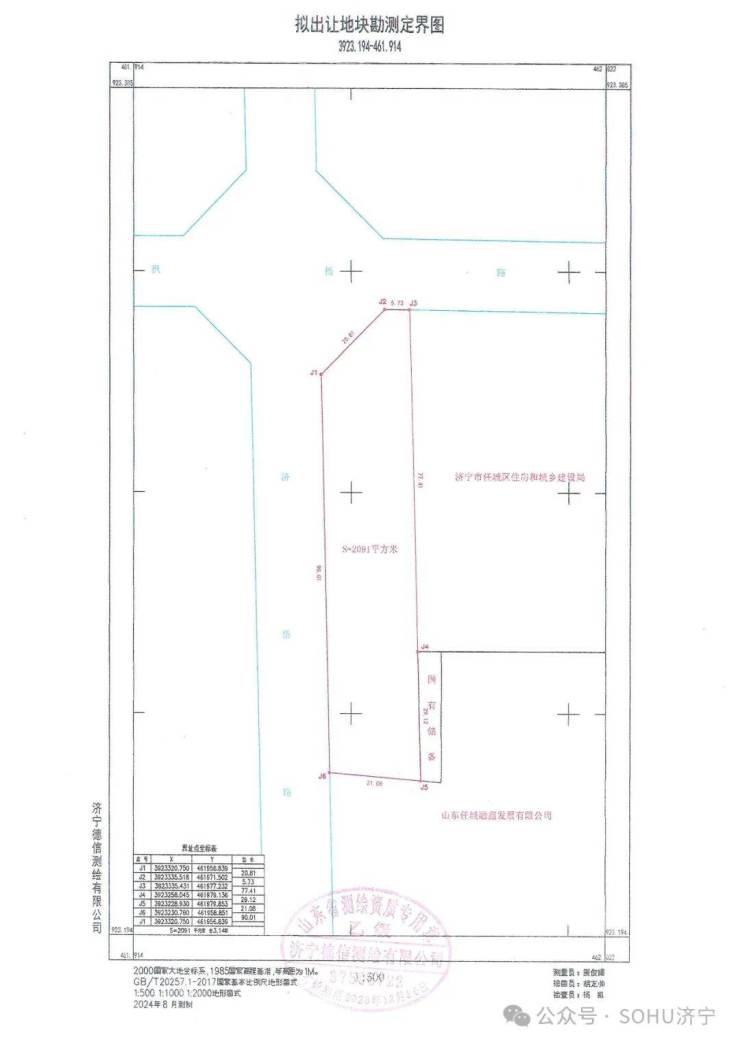
地块九:任城区JRC2024-043号金宇片区(岱庄南路东枫杨路南)地块【济宁市任辰房地产开发有限公司竞得】
土地位于:岱庄南路以东、枫杨路以南;土地面积:2091㎡(约3.1亩);土地用途:商业用地;出让年限:商业40年;容积率不大于1.3;起始价:816万元,综合楼面价起价:3000元/㎡;最终成交价为:816万元(约263万元/亩),综合楼面地价成交价:3000元/㎡;溢价率:0.0%;
其他交易条件:任城区政府在该地块中回购商业用房用于安置黎寨村,以3100元/平方米价格回购安置商业用房约1900平方米。受让人签订出让合同时一并与任城区政府签订回购协议。

地块十:任城区JRC2024-044号李营片区(琵琶山路东花木路南)地块【济宁任合天启置业有限公司竞得】
土地位于:李营街道琵琶山路以东、花木路以南;土地面积:24241㎡(约36.4亩);土地用途:城镇住宅用地兼容商业用地;出让年限:住宅70年、商业40年;容积率不大于1.9;起始价:11285万元,综合楼面价起价:2450元/㎡;最终成交价为:11285万元(约310万元/亩),综合楼面地价成交价:2450元/㎡;溢价率:0.0%;

该地块位于任城区李营街道辖区内,宗地西南侧为街道办事处驻地,附近有任城区李营镇幼儿园、小学、李营一中,距少康湖生态湿地公园较近,生活配套一应俱全。商务办公聚集,教育资源丰富,医疗条件齐备,交通出行便利。

地块十一:任城区JRC2024-045号李营片区(琵琶山路东梧桐路北)地块一【济宁任合天实置业有限公司竞得】
土地位于:李营街道琵琶山路以东、梧桐路以北;土地面积:13539㎡(约20.3亩);土地用途:城镇住宅用地兼容商业用地;出让年限:住宅70年、商业40年;容积率不大于1.6;起始价:5990万元,综合楼面价起价:2765元/㎡;最终成交价为:5990万元(约295万元/亩),综合楼面地价成交价:2765元/㎡;溢价率:0.0%;

该地块位于任城区李营街道辖区内,宗地西侧为街道办事处驻地,附近有任城区李营镇幼儿园、小学、李营一中,距少康湖生态湿地公园较近,生活配套一应俱全。商务办公聚集,教育资源丰富,医疗条件齐备,交通出行便利。
地块十二:任城区JRC2024-046号李营片区(琵琶山路东法桐路北)地块【济宁任合天翼置业有限公司竞得】
土地位于:李营街道琵琶山路以东、法桐路以北;土地面积:34610㎡(约52亩);土地用途:城镇住宅用地兼容商业用地;出让年限:住宅70年、商业40年;容积率不大于1.8;起始价:15886万元,综合楼面价起价:2550元/㎡;最终成交价为:15886万元(约306万元/亩),综合楼面地价成交价:2550元/㎡;溢价率:0.0%;

该地块位于任城区李营街道辖区内,宗地西北侧为街道办事处驻地,附近有任城区李营镇幼儿园、小学、李营一中,距少康湖生态湿地公园较近,生活配套一应俱全。商务办公聚集,教育资源丰富,医疗条件齐备,交通出行便利。
地块十三:任城区JRC2024-048号李庄片区(济水大道以东英慧路以北)地块一【济宁运河汇恒城市建设发展有限公司竞得】
土地位于:安居街道济水大道以东、英慧路以北;土地面积:57578㎡(约86.4亩);土地用途:城镇住宅用地兼容商业用地;出让年限:住宅70年、商业40年;容积率不大于1.3;起始价:17291万元,综合楼面价起价:2310元/㎡;最终成交价为:17291万元(约200万元/亩),综合楼面地价成交价:2310元/㎡;溢价率:0.0%;

该地块位于任城区辖区内,距离融创滨江壹号、泽信云月湾较近。西侧邻近济宁汽车西站,周边有济宁市第一人民医院(西院区)、济宁市第十五中学滨河校区、济宁市霍家街小学滨河校区。生活配套一应俱全,附近还有济宁市最大的豪德商贸城。该地块周边的教育资源丰富,医疗条件便利,商务办公聚集,交通出行便利。

地块十四:任城区JRC2024-049号李庄片区(英慧路以北)地块【济宁运河新恒城市建设发展有限公司竞得】
土地位于:安居街道英慧路以北、友好西路以东;土地面积:12298㎡(约18.4亩);土地用途:城镇住宅用地兼容商业用地;出让年限:住宅70年、商业40年;容积率不大于1.5;起始价:4059万元,综合楼面价起价:2200元/㎡;最终成交价为:4059万元(约221万元/亩),综合楼面地价成交价:2200元/㎡;溢价率:0.0%;

该地块位于任城区辖区内,距离融创滨江壹号、泽信云月湾较近。西侧邻近济宁汽车西站,周边有济宁市第一人民医院(西院区)、济宁市第十五中学滨河校区、济宁市霍家街小学滨河校区。生活配套一应俱全,附近还有济宁市最大的豪德商贸城。该地块周边的教育资源丰富,医疗条件便利,商务办公聚集,交通出行便利。
责任编辑:袁培淞
声明:本文由入驻焦点开放平台的作者撰写,除焦点官方账号外,观点仅代表作者本人,不代表焦点立场。


