总投资15亿,占地约173亩!济宁任城区尚龙智能科技城项目获批
扫描到手机,新闻随时看
扫一扫,用手机看文章
更加方便分享给朋友
济宁市任城区新添一大型项目!近日,搜狐网济宁小编从济宁市自然资源和规划局官方网站获悉:济宁任城区尚龙智能科技城项目建筑工程设计方案及(一期)建设工程规划许可获批前公示,具体参数如下。

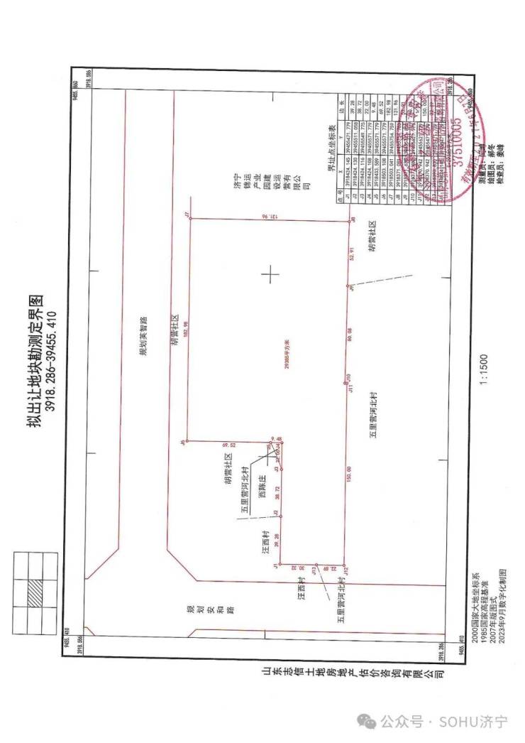
总平面图
项目名称:济宁任城区尚龙智能科技城项目
建设单位:山东济宁运河经济开发区管理委员会、山东尚龙智能科技有限公司
建设位置:济宁市任城区,西五里营路北侧,英智路南侧,安和路东侧
主要技术经济指标
项目规划用地面积115065.7㎡(约173亩);总建筑面积:99958.4㎡;其中,地上建筑面积99488.92㎡(一层生产车间面积24347.44㎡;二层生产车间面积32755.29㎡;三层生产车间面积36596.02㎡;办公楼面积5790.17㎡);地下建筑面积469.48㎡,总计容建筑面积172881.54㎡,总占地面积57214.97㎡,容积率为1.502;建筑密度49.72%;绿地率6.13%;厂前区比例5.04%;建筑类型包括生产车间、办公楼、设备用房等;规划机动车停车位375个,非机动车位4500个。
一期规划用地面积83774.94㎡(约126亩);一期总建筑面积61218.55㎡,其中地上建筑面积60749.07㎡(一层生产车间面积16193.56㎡;二层生产车间面积16824.32㎡;三层生产车间面积21941.02㎡;办公楼面积5790.17㎡),其中办公楼5层,单多层生产厂房1/2/3层,地下建筑面积469.48㎡;一期总计容建筑面积103942.01㎡。


技术经济指标

鸟瞰图








一期建筑单体效果图
前期拿地及规划相关信息

前期相关报道
据尚龙集团微信公众号2023-09-18 15:27报道

2023年9月17日下午,“相约梁山 同车共济——济宁市产业招商推介会暨重点合作项目签约仪式”举行,市委书记、市人大常委会主任林红玉视频连线致辞,副市长张东主持,梁山县县委书记谷永强、山东省汽车工业协会、俄罗斯欧亚国际商务发展促进会、知名专家学者以及各界知名企业代表等参加会议。会议采用线下推介、“线上+线下”重点合作项目签约的方式进行,主会场设在梁山县,有关县市区设分会场。尚龙智能科技城作为唯一重点项目代表任城区入围签约仪式,尚龙集团董事长李形出席并进行了签约。
期间董事长李形与济宁运河经济开发区管委会副主任刘凡进行了签约,并与各与会领导进行了会晤,商讨了尚龙智能科技城开发、招商进展,以及新形势下济宁市产业发展现状与发展前景。
尚龙智能科技城总投资15亿元,项目位于济宁市运河新区产业发展战略西翼,项目规划总用地约173亩,建设有产业大厦(配套服务区)、孵化加速区、科技研发区、装备制造区,项目聚焦高端装备制造和新一代信息技术等上下游高质量企业,以“尚龙产城、服务中国制造”的追求,建设优质中小企业急需的发展载体。 在未来,园区将打造以高质量产业集群为核心的智能智造产业链生态平台,以高质量的优质企业,国际化的产业园区标准,专业化的园区服务体系,为运河新区产业的发展开启新的篇章、贡献新的产业力量。
【小编说】
济宁市任城区尚龙智能科技城项目,由山东济宁运河经济开发区管理委员会与山东尚龙智能科技有限公司联手打造,对济宁市产生了深远且积极的影响。此项目不仅象征着济宁市在高端装备制造和新一代信息技术领域的重大进步,更在产业升级、经济发展、城市形象塑造、科技创新推动以及人才培养等多个层面,为济宁市带来了实质性的改变。
项目的落地,极大地推动了济宁市的产业升级与经济发展。尚龙智能科技城专注于高端装备制造和新一代信息技术等关键产业,通过引进和培育一批行业领先企业,有效地促进了相关产业链的完善和升级,从而推动了济宁市经济的蓬勃发展。
同时,该项目也显著提升了济宁市的城市形象和吸引力。作为城市的新地标,尚龙智能科技城展示了济宁市对于科技创新和高端制造业的坚定承诺,吸引了更多国内外企业和优秀人才的目光,为济宁市带来了前所未有的发展机遇。
在营商环境优化方面,尚龙智能科技城也发挥了重要作用。项目提供的一站式服务和全方位支持,大大降低了企业的运营成本和时间成本,提高了企业的市场竞争力,为济宁市打造了一个优质、高效的营商环境。
此外,该项目还极大地推动了济宁市的科技创新和人才培养。通过与科研机构和高校的紧密合作,尚龙智能科技城为济宁市搭建了一个高水平的科技创新平台,推动了科技创新成果的转化和应用。同时,项目还注重高素质人才的培养和引进,为济宁市的长远发展提供了强有力的人才保障。
最后,值得一提的是,尚龙智能科技城项目的建设和运营还为济宁市创造了大量的就业机会,有效地缓解了当地的就业压力,提高了居民的生活水平,促进了社会的和谐稳定。
总的来说,尚龙智能科技城项目对济宁市产生了全面而深远的影响,不仅推动了产业升级和经济发展,还提升了城市形象,优化了营商环境,推动了科技创新和人才培养,增加了就业机会。这一项目的成功实施,无疑为济宁市的未来发展注入了强大的动力和活力。
责任编辑:袁培淞
声明:本文由入驻焦点开放平台的作者撰写,除焦点官方账号外,观点仅代表作者本人,不代表焦点立场。


