总占地约65亩!济宁高新区一大型民生项目获批前公示
扫描到手机,新闻随时看
扫一扫,用手机看文章
更加方便分享给朋友
济宁高新区新添一民生项目!近日,搜狐网济宁小编相关渠道获悉:济宁高新区天然气分布式能源供热工程项目的建设工程设计方案获批前公示,具体参数如下。

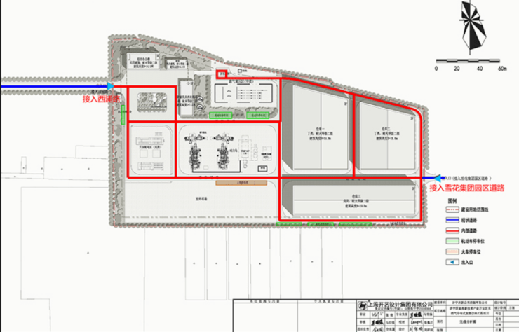
总平面图
工程概况
项目名称:济宁国家高新技术产业开发区天然气分布式能源供热工程项目
建设单位:济宁高新公用能源有限公司
项目位置:崇文大道以南,西浦路以东,雪花路以北。
主要技术经济指标
项目规划建设用地:4.32公顷(约65亩),总建筑面积:33751.36㎡(其中地上建筑面积33337.20㎡,地下建筑面积414.16㎡) ;仓库层数为三层,一层层高8.0米,二、三层层高5.0米,建筑高度19.8米。综合办公楼层数为三层,一层层高为4.2米,二、三层层高为3.9米,建筑高度14.1米。消防泵房及水处理间层数为地上一层、地下一层,一层层高为6.0米,建筑高度7.2米。食堂层数为一层,一层层高为4.5米,建筑高度5.4米。门卫层数为一层,一层层高为3.6米,建筑高度为4.5米。容积率:1.01;建筑密度:55.1%;绿地率:12.3%;机动车位:34个,非机动车位:90个。

道路分析图

鸟瞰图
责任编辑:刘辉
声明:本文由入驻焦点开放平台的作者撰写,除焦点官方账号外,观点仅代表作者本人,不代表焦点立场。


