总占地约202亩,成交价3.7亿元!济宁市主城区6宗土地成功出让
扫描到手机,新闻随时看
扫一扫,用手机看文章
更加方便分享给朋友
搜狐网济宁小编相关渠道获悉:12月22日上午,济宁城区7宗国有建设用地使用权集中开拍。根据济宁市公共资源交易中心公布的出让结果,6宗地块底价成交1宗地块流拍,总成交价为36907万元。
从7宗地块的具体分布上看,任城区4宗、济宁经开区3宗。从土地用途来看,5宗城镇住宅用地兼容商业用地、2宗工业用地。土地总面积为144277㎡,约216亩;总起始价为43462万元。
最终,济宁任盛房地产开发有限公司成功摘得1宗地块,济宁鲁鑫工程机械有限公司成功摘得2宗地块、济宁尚轩建设工程有限公司成功摘得1宗地块、济宁西城置业有限公司成功摘得1宗地块、济宁尚城工程建设有限公司成功摘得1宗地块。
接下来,我们详细了解一下挂牌出让地块的基本情况和规划指标等要求:
JRC2024-034号百花片区(建设路以西七中以南)连同地上在建工程一并处置,在建工程评估价值492.4952万元。受让人分别缴纳土地出让价款和在建工程价款,在建工程价款缴市财政。市商务局负责在建工程交付工作。在建工程由受让人自行处置。
任城区JRC2024-056号唐口片区(工业路以西兴业路以南)地块一、地块二建设项目用地出让执行工业项目用地标准化供应方案。
地块一:JRC2024-034号百花片区(建设路以西七中以南)【流拍】
土地位于:建设路以西、七中以南;土地面积:9563㎡(约14.3亩);土地用途:城镇住宅用地兼容商业用地;出让年限:住宅70年、商业40年;容积率不大于1.7;起始价:6555万元,综合楼面价起价:4032元/㎡;最终因无竞买方出价,本地块流拍。

该地块位于任城区东南部,阜桥街道辖区内。交通便利,临近建设路等交通要道。周边有农贸市场,济宁市第一人民医院(总院),济宁市第七中学,生活配套设施齐全,商务办公聚集,教育资源丰富,医疗条件齐备。

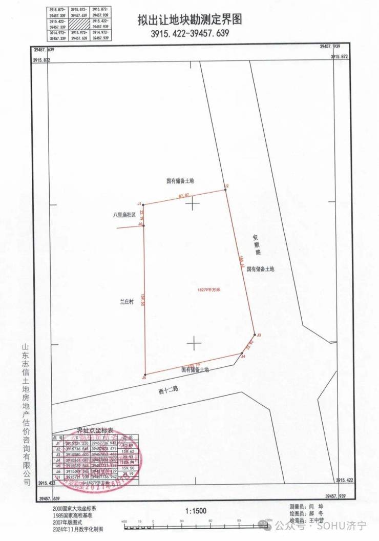
地块二:任城区JRC2024-076号五里营片区(西十二路北安顺路西)地块【济宁任盛房地产开发有限公司竞得】
土地位于:安居街道西十二路以北、安顺路以西;土地面积:18279㎡(约27.4亩);土地用途:城镇住宅用地兼容商业用地;出让年限:住宅70年、商业40年;不大于1.8;起始价:8555万元,综合楼面价起价:2600元/㎡;最终成交价为:8555万元(约312万元/亩),综合楼面地价成交价:2600元/㎡;溢价率:0.0%;

该地块位于任城区安居街道辖区内,宗地东临梁济运河,北临豪德商贸城和济宁市第一人民医院(西院区),附近有济宁市霍家街小学滨河校区、济宁市第十五中学滨河校区,距大运河观光带、月园公园较近,生活配套一应俱全。商务办公聚集,教育资源丰富,医疗条件齐备,交通出行便利。
地块三:任城区JRC2024-056号唐口片区(工业路以西兴业路以南)地块一【济宁鲁鑫工程机械有限公司竞得】
土地位于:任城区唐口街道工业路以西、兴业路以南;土地面积:5967㎡(约9亩);土地用途:工业用地;出让年限:工业50年;不小于1.0;起始价:215万元,综合楼面价起价:360元/㎡;最终成交价为:215万元(约24万元/亩),综合楼面地价成交价:360元/㎡;溢价率:0.0%;

地块四:任城区JRC2024-056号唐口片区(工业路以西兴业路以南)地块二【济宁鲁鑫工程机械有限公司竞得】
土地位于:任城区唐口街道工业路以西、兴业路以南;土地面积:7312㎡(约11亩);土地用途:工业用地;出让年限:工业50年;不小于1.0;起始价:263万元,综合楼面价起价:359元/㎡;最终成交价为:263万元(约24万元/亩),综合楼面地价成交价:359元/㎡;溢价率:0.0%;

地块五:经开区JJK2024-006号经开片区(吉祥路北嘉美路东)宗地地块一【济宁尚轩建设工程有限公司竞得】
土地位于:济宁经济开发区吉祥路以北、嘉美路以东;土地面积:36999㎡(约55.5亩);土地用途:城镇住宅用地兼容商业用地;出让年限:住宅70年、商业40年;不大于1.8;起始价:9770万元,综合楼面价起价:1467元/㎡;最终成交价为:9770万元(约176万元/亩),综合楼面地价成交价:1467元/㎡;溢价率:0.0%;

经开区JJK2024-006号经开片区(吉祥路北嘉美路东)宗地位于济宁经济开发区吉祥路以北、嘉美路以东,该地块距离天庙小学(经开区实验小学)300米,经开区高级中学约2000米;西邻嘉美路,南邻吉祥路,交通便利;周边有正在建设的玺悦汇、邻里中心商业广场,双城名都、风华里、中玺云尚、高端人才社区、朱井社区等住宅小区,南部有即将建设经开区智慧医院,生活配套较齐全。
地块六:经开区JJK2024-007号经开片区(嘉丰路东瑞祥路南)地块【济宁西城置业有限公司竞得】
土地位于:济宁经济开发区嘉丰路以东、瑞祥路以南;土地面积:39388㎡(约59.1亩);土地用途:城镇住宅用地兼容商业用地;出让年限:住宅70年、商业40年;不大于1.8;起始价:10635万元,综合楼面价起价:1500元/㎡;最终成交价为:10635万元(约180万元/亩),综合楼面地价成交价:1500元/㎡;溢价率:0.0%;

地块七:经开区JJK2024-008号经开片区(吉祥路北嘉美路西)地块【济宁尚城工程建设有限公司竞得】
土地位于:济宁经济开发区吉祥路以北、嘉美路以西;土地面积:26769㎡(约40.2亩);土地用途:城镇住宅用地兼容商业用地;出让年限:住宅70年、商业40年;不大于1.8;起始价:7469万元,综合楼面价起价:1550元/㎡;最终成交价为:7469万元(约186万元/亩),综合楼面地价成交价:1500元/㎡;溢价率:0.0%;

责任编辑:袁培淞
声明:本文由入驻焦点开放平台的作者撰写,除焦点官方账号外,观点仅代表作者本人,不代表焦点立场。


